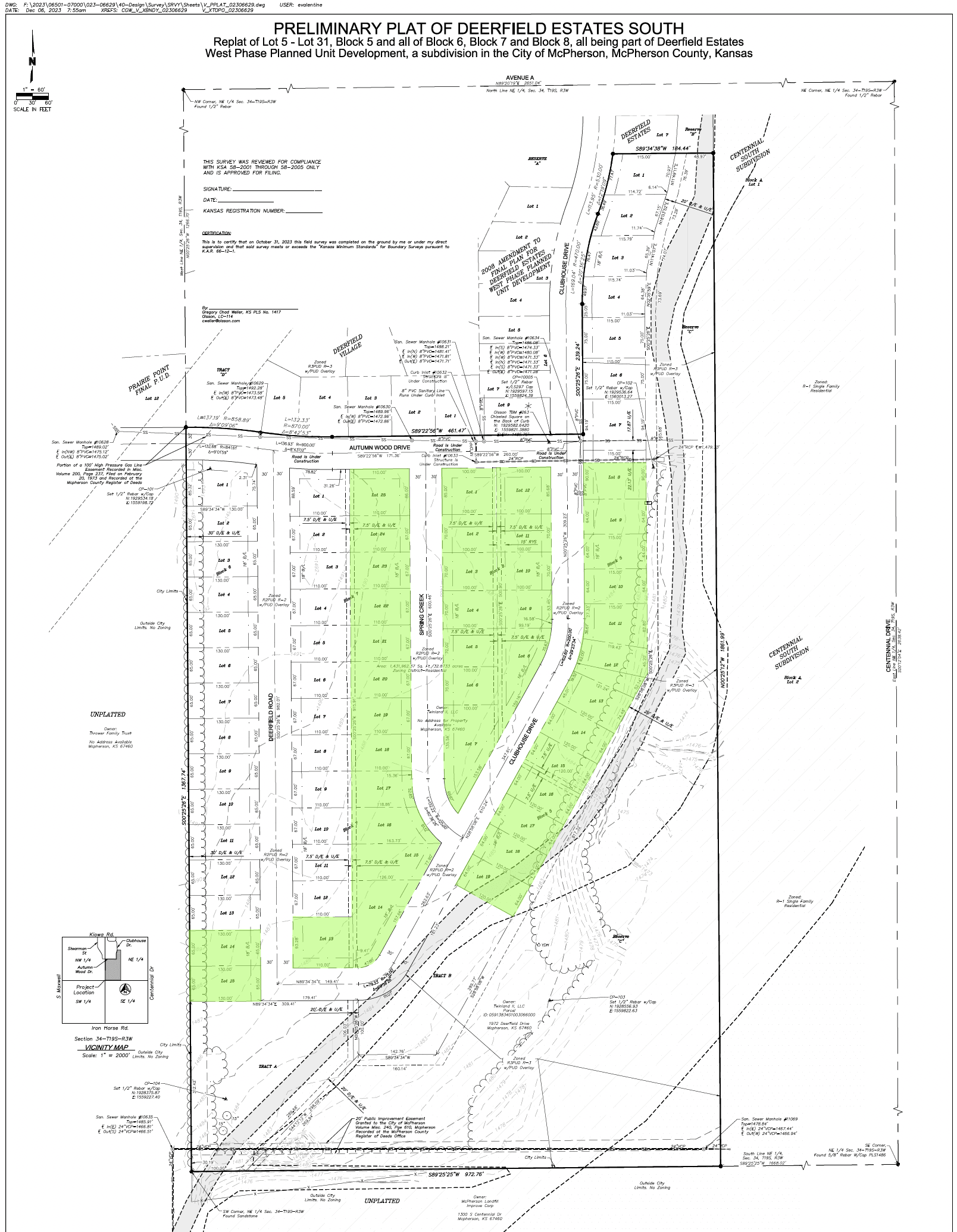
Deerfield Estates South

  1. The Revere
  2. The Independence
  3. The Bell
  4. The Georgetown
  5. The Rushmore

About Deerfield South

The City of McPherson in August of 2023 successfullyPreliminary Plat for Deerfield South Development 2024 applied for an MIH-ARPA (Moderate Income Housing-American Rescue Plan Act) grant through the Kansas Housing Resources Corporation. McPherson’s successful proposal — submitted by Twinland II, LLC — was among 20 awards announced by the KHRC. 

The proposed South Deerfield Homes project was awarded $1.65 million in MIH-ARPA funds for the completion of 40 new moderate-income houses over the course of two years. 

In addition, Twinland was awarded $1.2 million in investor tax credits in the same proposal. 

The base version of the Deerfield South Homes is 1,400 square feet depending on the floor plan selected (options below) built on a slab with a protected safe room. These homes typically will be three bedrooms, two full bathrooms and a two-car garage designed for small to medium families. Other options, though, may be available through the developer. All of these homes will be part of a Home Owners Association. 

These homes are being built now and there are significant price reductions and down payment assistance available to qualified buyers. A family of four can earn up to $150,750 annually and qualify. See the chart below for income limitations guide. More information on the homes is available through the Liberty Communities website. 



2025 Moderate Income Housing Limits

Updated MIH housing incoming limits